Tắt

Tư vấn Bất Động Sản

Sales Manager

Phước Sửu PKD Chủ đầu tư

Hoặc

Bán mảnh đất đầu tư ngắn hạn tốt nhất tại Y Tý - Sapa 2

  • Mã tin: MT005167 Ngày cập nhật: 08/09/2021
  • Người dùng đánh giá:
  • Địa chỉ Tỉnh lộ 155 Y Tý
  • Diện tích 455
  • Kết cấu
  • Hướng Không xác định
  • Giá: 455455000
  • Liên hệ ngay
  • 0968283685
  • Tag:
  • Nội dung tin
  • Bình luận
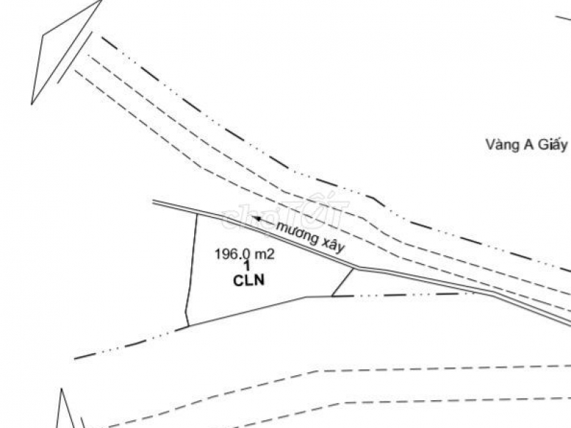
** Trung tâm Y Tý, Bát Xát, Lào Cai
** Mảnh đất diện tích tổng thửa đất là 455m2 , nhưng diện tích trừ hành lang đường và là diện tích được tính làm sổ đỏ là 196m2.
** 3 mặt thoáng , 2 mặt đường ( lô góc). Mặt tỉnh lộ DT152 là khoảng 14m, mặt đường thôn là 16m (Diện tích 196m2 là diện tích đc xây dựng nha. Còn 455m2 là diện tích sử dụng. Vì là mặt đường tỉnh lộ nên họ để hành lang đường hẳn 10m)
** View đẹp. Đối diện là dãy quy hoạch biệt thự, liền kề. Cách bến xe mới quy hoạch 300m. Cách trạm Y Tế 200. Ngay chợ trung tâm Y Tý 300m. Cách dãy đất đấu giá 300m
** Còn rất nhiều mảnh với diện tích và giá cả phù hợp với nhu cầu của tất cả quý khách.
** Chần chừ gì mà không nhanh tay nhấc máy gọi ngay cho em theo số 0968.283.685 để được check quy hoạch, tư vấn miễn phí và giá yêu thương nhất ạ!

Đánh giá

No
  • Bình chọn sản phẩm này:
Gửi đánh giá
Tin liên quan

Tìm kiếm

Các nhà môi giới

Liên hệ

phone

Gọi ngay: 0909477288

messenger

Chat Messenger: bdshungphat

zalo

Chat Zalo: 0909477288

viber

Chat Viber: 0909477288